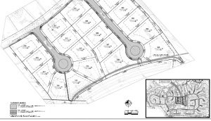
Home » Coming Soon! The Last Phase of Development in Founders Pointe » Phase III plat Phase III plat Share This: Share With Facebook Share With Twitter Share With Linkedin Share With Pinterest